Stories
COP 30 STARTS TOMORROW WHAT IS AT STAKE UNDER THE NEGOTIATIONS THAT SHAPE GLOBAL RESPONSE TO LOSS AND DAMAGE CAUSED BY THE CLIMATE CRISIS?
9/11/25

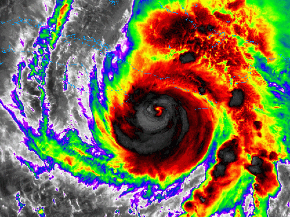
Long-wave infrared imagery of Hurricane Melissa at its second landfall near Chivirico, Santiago de Cuba. Image credit: GOES-East mesoscale floater.
The thirtieth conference of the Parties (COP 30) starts tomorrow in Belém, Brazil. Here is a reminder of what is at stake under the negotiations that shape global response to loss and damage caused by the climate crisis. For more in-depth information and our key messages see here.
What is Loss and Damage?
Loss and damage is the technical term for the destruction caused by the climate crisis. Loss refers to things lost forever such as lives, species and languages. Damage refers to things that can be restored such as soil degradation and damage to infrastructure like roads.
Under the United Nations Framework Convention on Climate Change (UNFCCC) and its Paris Agreement three key intuitions have been established to respond to loss and damage: 1). The Warsaw International Mechanism for Loss and Damage (WIM) — a policy and knowledge hub with five expert groups; 2). the Santiago Network —a network to enhance implementation; and; the Fund for Responding to Loss and Damage (FRLD) — a fund to deliver finance at scale.
Loss and Damage is Happening Now
Throughout 2025 the escalating climate crisis has continued to increase the frequency and intensity of extreme and slow motion disasters as global average temperatures exceed the 1.5°C survival limit enshrined in the Paris Agreement. Just a few examples include:
1. Hurricane Melissa which has affected 5 million people in Jamaica, Haiti and Cuba,killing at least 75 people and displacing or forcing the evacuation of over 770,000. Economic loss and damage is estimated to be as much as 52 billion USD.
2. The 2025 Pakistan floods, which have killed at least 300, injured more than 700 people and damaged more than 1,600 houses. This flooding came only two years after the devastating 2022 Pakistan Floods which cost over 50 billion USD and affected over 33 million people.
3. Just days before COP 30 starts, Brazil has itself has faced significant #LossAndDamage as a tornado flattened 90% of the town of Rio Bonito do Iguacu, in Paraná, killing at least 5 people.
4. As you read this Typhoon Fung-wong has made landfall in the Philippines, where more than 900,000 people have been evacuated and two are already dead. Typhoon Fung-wong comes days after an earlier typhoon, Kalmaegi, left a trail of destruction and nearly 200 people dead.
The currently insufficient level of support to recover, rehabilitate and rebuild following a loss and damage event means that developing countries like Jamaica will be picking up the bill for a climate crisis they did little or nothing to cause. As a result they will face tough decisions that may see them take on more debt and/or shift money away from essential services such as education and health care.
The Big Picture
Looking at the bigger picture. The 2025 Emissions Gap Report says we are on track to 2.3-2.5°C of global warming leaving the world heading for a serious escalation of climate risks and loss and damage. The 2025 Adaptation Gap Report finds that the Adaptation needs of developing countries is 365 billion USD a year. Yet public adaptation finance flows to developing countries were just 26 billion USD in 2023—down from 28 billion USD the previous year. This makes adaptation financing needs in developing countries 12-14 times as much as current flows. Economic quantification of the Loss and Damage finance needs of developing countries by scientists projects that they will need a staggering 395 [128–937] billion USD in 2025 alone, whilst our calculations suggest that 724.43 billion USD a year needs to flow though the Loss and Damage Funding Arrangements. In short, more emissions and less support for adaptation and addressing loss and damage equals more loss and damage. Therefore Loss and Damage response must be urgently scaled up and properly resourced.
Loss and Damage at COP 30
At COP 30 the three key agenda items for Loss and Damage are:
- The third review of the WIM.
- Consideration of the joint reports of the Executive Committee of the WIM and the Advisory Board of the Santiago Network.
- Consideration of the report of the FRLD.
We will also see the launch of the start up phase of the FRLD after which developing countries will have 6 months to make funding requests for projects and programs between 5-20 million USD for a total of 250 million USD.
What can be achieved?
The third review of the WIM is an important opportunity to: increase collaboration, avoid duplication, deliver an annual State of Loss and Damage Report and to request guidelines on including Loss and Damage in National Determined Contributions (NDCs) and quantifying and qualifying Loss and Damage amongst other things.
The consideration of the joint report of the ExCom and Santiago Network is a critical opportunity to ask the Santiago Network to: increase the number of local and regional experts in its membership, increase outreach to countries and communities so that they know what support is available from the network, and deliver support on time. It's also a moment to remind rich polluting countries of their COP 26 commitment to fund the network.
When considering the report of the FRLD countries have the crucial opportunity to ask the Fund to: provide 400 billion USD a year, speed up work on policies on releasing money quickly, community access to small grants, observers, transparency and vulnerable peoples. It's also an opportunity to remind rich polluting countries of their obligations to Fill The Fund.
The First COP Since the Historic ICJ Advisory Opinion on Climate Change
COP 30 is the first COP since the delivery of the International Court of Justice’s (ICJ) Advisory Opinion (ICJAO) on the Obligations of States in Regard to Climate Change. The ICJAO has made clear that climate action is not optional — it's the law. Therefore countries must come to COP 30 ready to fulfil their legal obligations. (Find the Loss and Damage implications of the ICJAO here).
The Loss and Damage Elephant in the Room
But, there is a big Loss and Damage elephant in the room. The COP 30 Presidency has not made Loss and Damage a priority, despite the fact that Brazil has faced significant loss and damage itself including the devastating 2024 Rio Grande do Sul floods. This must change! To do so, developing countries and civil society will need to make lots of noise about why —following thirty five years of delayed climate action— we no longer have the luxury to undertake mitigation and adaptation without addressing loss and damage.
Watch the video here:

